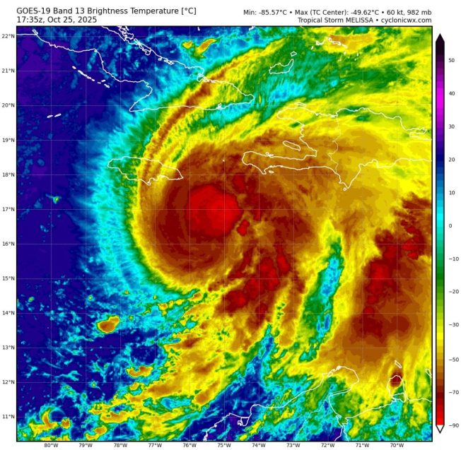
Tormenta Melissa se convierte en huracán y avanza sobre el Caribe

El fenómeno natural alcanzó vientos de 120 km/h y podría intensificarse en las próximas horas, según el Centro Nacional de Huracanes La tormenta tropical Melissa se transformó en huracán este sábado 25 de octubre, informó el Centro Nacional de Huracanes (NHC) de Florida. El fenómeno alcanzó vientos sostenidos de 120 kilómetros por hora y mantiene una trayectoria hacia el norte y noreste del mar […]
Según Clippve: Grupos violentos agredieron a asistentes a la Misa de Acción de Gracias realizada en la UCV

El Comité por la Libertad de los Presos Políticos (Clippve) denunció que grupos violentos, aparentemente identificados con el oficialismo, agredieron físicamente a los fieles que asistieron este sábado a la Misa de Acción de Gracias que se realizó en la Plaza Cubierta de la Universidad Central de Venezuela (UCV) con el objeto de celebrar la […]
«Salud y prosperidad para Venezuela»: Las peticiones a La Chinita el día de su Bajada

Maracaibo vive un ambiente de fe y preparación para la tradicional Bajada. Feligreses de distintas regiones del país llegaron a la ciudad para pedir salud, paz y prosperidad a la patrona de los zulianos. Este año el santuario amplió su capacidad a 30 mil asientos, y avanzan los trabajos para la celebración Maracaibo amaneció este […]
Nariman Battikha deslumbra en el Miss Grand International debido a su traje típico dedicado a las reinas venezolanas

La Miss Grand Venezuela 2025, Nariman Battikha, cautivó al público y al jurado durante la esperada competencia de Traje Típico del Miss Grand International, que se celebra en Bangkok, Tailandia. Nariman desfiló una majestuosa creación denominada «Homenaje a las Reinas Venezolanas», una pieza diseñada para celebrar la esencia y el legado de la mujer venezolana […]
Una «Carmen» desgarradora se escuchará en el Teatro Municipal de Caracas a partir de este #25Oct

Como si fuera inédita en los escenarios venezolanos, el montaje de la Ópera «Carmen» en Caracas ha generado gran expectativa. Y esto se percibió en la rueda de prensa que este martes 21 ofreció Image Producciones para narrar lo que ha sido su exitoso Programa Opera Gala Caracas, el cual celebra su V edición con la puesta […]
Leopoldo López: «Quieren quitarme la nacionalidad por decir lo que pensamos»

El dirigente opositor Leopoldo López, fundador del partido político Voluntad Popular, reaccionó este sábado al conocer que el mandatario Nicolás Maduro solicitó ante el Tribunal Supremo de Justicia (TSJ) quitarle la nacionalidad venezolana. Ante este hecho López indicó a través de su cuenta en la red social X (antes Twitter): «Quiere quitarme la nacionalidad por […]
Nicolás Maduro solicita al TSJ retirar la nacionalidad a Leopoldo López

La vicepresidenta Delcy Rodríguez informó, a través de su canal de Telegram, que tanto la Cancillería como el Saime procederán “de inmediato” a anular el pasaporte del opositor La vicepresidenta Delcy Rodríguez informó este sábado que el presidente Nicolás Maduro presentó ante el Tribunal Supremo de Justicia (TSJ) un recurso para retirar la nacionalidad […]
Inameh prevé lluvias en varias regiones de Venezuela este sábado #25Oct

El Instituto Nacional de Meteorología e Hidrología (Inameh) pronosticó para el sábado 25 de octubre altas probabilidades de que se registren precipitaciones en varias regiones de Venezuela. “Se aprecian células convectivas de rápida evolución acompañadas de lluvias o chubascos intensos, algunos con descargas eléctricas”, precisó el organismo en una publicación de Instagram. Entre los […]
Ambulancias fluviales en Delta Amacuro carecen de gasolina, los pacientes deben ser trasladados en embarcaciones artesanales no rápidas

La comunidad indígena organizada de Kuarejoro, en el municipio Antonio Díaz, tuvo que movilizarse para trasladar a un paciente varios kilómetros hasta Tucupita, estado Delta Amacuro, luego de que la ambulancia fluvial del gobierno regional que se encuentra en la ciudad capital no pudiera llevar a cabo el traslado por falta de combustible. El […]
Qué se vota este domingo 26 de octubre en las elecciones de Argentina 2025

Los argentinos acudirán a las urnas para renovar senadores y diputados nacionales; la jornada electoral también introducirá la Boleta Única de Papel y definirá autoridades locales en algunas provincias Este domingo 26 de octubre de 2025 marcara una fecha clave en el calendario politico argentino, cuando millones de electores en todo el país […]